팜모닝
홈농사정보장터검색
농사 정보
  • 팜모닝 AI
  • 실시간 경매 시세
  • 시장별 가격
  • 면적 직불금 계산기
  • 숨은 보조금
  • 병해충 정보
  • 농사 커리큘럼
  • 농약 정보
  • 농약 비료 계산기
장터
  • 농자재 장터농자재 장터
  • 농수산물 장터농수산물 장터
  • 생활잡화 장터생활잡화 장터
  • 농기계 장터농기계 장터
농사 게시판
  • 팜모닝공식팜모닝공식
  • 매일매일 농사공부매일매일 농사공부
  • 농사, 무엇이든 물어보세요농사, 무엇이든 물어보세요
  • 이웃들의 병해충 소식
홈
농사정보
장터
프로필
팜모닝
자유주제·자유게시판
경남사천 문병숙
귀농초보 농부입니다.·2025-06-03T06:08:32Z
이 풀 이름이 궁금하네요.
잔디밭에 한없이 퍼져 나가는데 일일이 뽑기엔.....
혹시 풀 이름과 효율적인 제초방법 아시는 분 알려주시면 감사하겠습니다.
문병숙님의 자유주제 · 자유게시판 작성글 사진문병숙님의 자유주제 · 자유게시판 작성글 사진
2명
댓글 4
공유
김응진님의 프로필
충북청주 김응진
도5농2주말농업인입니다·2025-06-03T08:35:51Z
잔디관리 싶지않죠
매일매일 손으로뽑고 깍아주고 비료도줘야죠^^~~
상원(尙沅)님의 프로필
경기용인 상원(尙沅)
답변왕
29개월 연속출석왕 ·2025-06-03T07:34:02Z
크게 자라기전 어릴때 제초제를 뿌려야죠 풀만죽는 제초제로. 너무크면 뽑아주거나 잘라주고 제초제를 살포해주세요
김응진님의 프로필
충북청주 김응진
도5농2주말농업인입니다·2025-06-03T08:33:28Z
손으로 하나하나 뽑아주고 하늘아래 뿌려보세요
댓글을 입력하세요

경남사천 문병숙

농민·귀농초보 농부입니다.

공직생활38년 큰 대과없이 마무리하고 고향근처로 귀농을 하였습니다. 농사 사부님으로 모시던 어르신께서 지병으로 자녀분들께서 요양병원으로 모시고 가셔서 못내 아쉽고 안타깝네요. 오다가다 선배님들의 조언을 부탁드립니다.

재배 중 면적

총 1,000평
생강 · 생강(기타)
900평 (90%)
토란 · 토란(기타)
100평 (10%)

문병숙님의 다른글

기타작물·영농일지
고추 수확
2025-09-04T15:00:00Z
팜모닝 기타작물·영농일지 게시글 이미지
기타작물·병해충상담
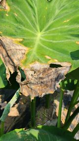
경남 사천 곤양에 귀농한 신출내기 농부입니다.
토란잎이 곰팡이 발생으로 말라죽어가고 있네요.
담배나방 벌레도 많아서 살충제를 뿌려 거의 잡아았습니다만 이런종류의 병해는 처음이라 선배님들의 도움을 요청드립니다.
작물 토란부위 잎증상 곰팡이, 균사
2024-08-06T11:33:10Z ·
6
8
팜모닝 기타작물·병해충상담 게시글 이미지
고추·병해충상담
전년도 탄저병으로 전량폐기하고 올해 비닐하우스에 고추를 재배하였는데 간간이 시들음 현상이 발생하면서 말라죽어가네요. 귀농 2년차인데 선배님들 도와주세요!
ㅠㅠㅠㅠ
작물 고추부위 뿌리증상 시들음
2024-07-17T15:22:55Z ·
7
8
1
팜모닝 고추·병해충상담 게시글 이미지