🌿 레드향 하우스 농업일지 🌿 📅 날짜 : 2026년 5월 28일 🏠 작업 장소 : 레드향 하우스 💊 사용 약제 : 델리게이트 (작용기작 5) 🐛 방제 대상 : 꽃노랑총채, 파리류 💧 약제 특징 : 침달성 제품 🚜 작업 방식 : 무인 방제기 살포 ⏰ 작업...


📅 2026년 5월 26일 농업일지 🍊 레드향 하우스 ✂️ 1차 낙과 이후 적과 작업 시작 (1일차) 📝 적정 착과를 위한 적과 작업 진행 ⏰ 작업 시간 오전 10시 ~ 오후 5시 👨🌾 작업 인원 나, 와이프 (총 2명) 📌 작업 내용 레드향 하우스 1차 ...

운동시작 1일차
📅 2026년 5월 23일 농업일지 🌿 몽땅 레드향 하우스 💧 물 4000L + 퇴비차 250L + 미량요소 500g 혼합하여 연면시비함 🚜 무인 방제기로 살포함 ⏰ 작업시간 : 오전 4시 ~ 오전 5시 👨🌾 새순 관리 및 수세 안정 목적 연면시비 작업 실...

📅 2026년 5월 23일 농업일지 🌿 몽땅 천혜향 하우스 🪴 퇴비차 + 붕산비료 연면시비 작업 💧 사용 자재 물 4000L 퇴비차 250L 붕산비료 1kg 혼합 사용 🚜 작업방법 무인 방제기로 연면시비 실시 ⏰ 작업시간 오전 3시 ~ 오전 4시 👨🌾 작...

퇴비차 제조


📒 농업일지 (2026년 5월 19일) 🌱 재배 작물 천혜향 하우스 전체 📍 농장 위치 제주도 🌤 작업 시간 시작: 오전 05:30 종료: 오전 08:30 총 작업: 3시간 👨🌾 작업 인원 총 3명 작업자 3명 나.삼촌. 베트남 🧪 방제 작업 내용 천...

📒 농업일지 (2026년 5월 18일) 🌱 재배 작물 레드향 하우스 전체 📍 농장 위치 제주도 🌤 작업 시간 시작: 오전 05:30 종료: 오전 10:00 총 작업: 4 시간30분 👨🌾 작업 인원 총 1명 대표님 🧪 방제 작업 내용 레드향 하우스 전체 병...

📒 농업일지 (2026-05-16) ⏰ 작업시간 06:00 ~ 07:00 🌱 작물 / 장소 레드향 하우스 붕산비료 비토산 500g × 3 🚜 작업내용 붕산비료 엽면시비 무인 방제기 살포

📒 농업일지 (2026.05.13) ⏰ 작업 시간 05:30 ~ 07:30 (2시간) 📍 작업 장소 레드향 하우스 천혜향 하우스 🚜 작업 내용 무인 방제기 이용 하우스 전체 방제 살포 🐛 방제 대상 해충 총채벌레 귤나방 귤파리 🧪 사용 약제 엑시렐 (작용기작 ...


천혜향 꽃전정및 봄순정전작업 작업 7일차 오늘 장모님 베트남 투입 만감류 교육

📅 2026년 5월 6일 농업일지 🌱 작업 하우스 천혜향 하우스 🧪 방제 작업 내용 확시란 살포 · 작용기구: 사1 살무사 살포 · 작용기구: 4A + 6 기계유제 사용 · 사용량: 18L 1통 🚿 작업 방식 손 방제 작업 진행 ⏰ 작업 시간 오전 6:00 ~ ...

📒 농업일지 날짜: 2026년 5월 5일 작업 시간 05:15 ~ 09:00 작업 내용 레드향 하우스 잿빛곰팡이병 방제 작업 사용 약제 및 작용기구 확시란 작용기구: 사1 살무사 작용기구: 4A + 6 희석 및 방제 방법 약제 125ml 물과 혼합 손 방제 실시 작업...

📒 농업일지 날짜: 2026년 5월 4일 작업시간: 오전 6:00 ~ 오전 7:30 작업내용: 퇴비차 연면시비 🍊 레드향 하우스 1. 작업 내용 퇴비차 연면 시비 실시 무인 방제기를 이용하여 살포 2. 희석 및 혼합 비율 (200L 통 기준) 퇴비차: 200L 칼슘...


📅 농업일지 날짜 : 2026년 5월 1일 🌳 천혜향 하우스 🕕 작업 시간 오전 6:00 ~ 오전 7:30 🧴 방제 약제 살충제 원타치 작용기구 6 + 29 🐛 방제 대상 귤나방 응애 총채벌레 조팝나무 진딧물 🚜 작업 내용 무인 방제기 살포 작업 🌳 레드향...


📒 농업일지 (테스트) 📅 2026.04.28 🌤 맑음 (제주) 📍 몽땅 천혜향 하우스 ⏰ 13:00 ~ 16:30 (3시간 30분) 👨🌾 작업자 : 대표님 🛠 작업 • 천혜향 하우스 정전 작업 • 불필요한 꽃 제거 • 착과량 조절 📌 메모 • 대표님 ...

집 방수작업 프라이머 바름
📒 농업일지 📅 2026년 4월 25일 🍊 천혜향 하우스 방제 ⏰ 작업시간 오전 6:00 ~ 오전 11:20 👨🌾 작업인원 총 3명 나 삼촌 베트남 작업자 🧪 방제 약제 후론사이드 (다5) 노블레스 25B 🎯 방제 대상 병해충 더뎅이병 잿빛곰팡이병 응애 ...


📒 농업일지 📅 날짜 : 2026년 4월 22일 🍊 작물 : 천혜향 🏠 장소 : 하우스 ━━━━━━━━━━━━━━━━ 🔎 작업 내용 🐌 달팽이 발생 확인 후 제거 작업 실시 ✋ 밤에 수동으로 직접 잡아서 제거 ━━━━━━━━━━━━━━━━ ⏰ 작업 시간 🕘...

📒 농업일지 (2026년 4월 21일) 📍 작업장소: 천혜향 하우스 🌳 작물: 천혜향 🛠 작업내용: 무인 방제기를 이용하여 베르시스(작용기구 9D) + 기계유제 혼합 방제 살포 💧 희석 및 사용량: 물 200말 베르시스 8병 기계유제 2통 ⏰ 작업시간: 오전 ...

📅 농업일지 날짜 : 2026년 4월 20일 👨🌾 작업자 : 대표님 (1인 작업) 🌱 작업 작물 레드향 하우스 🛠 작업 내용 꽃 정전 작업 ⏰ 작업 시간 오전 10:00 ~ 오후 17:00 📋 작업 목적 과다 착화 방지 열매 품질 향상 나무 세력 유지 🌡...

📒 농업일지 날짜: 2026년 4월 18일 🍊 레드향 밭 🌅 오전 작업 작업시간: 오전 7:00 ~ 오전 9:00 작업내용: 점적 관수 사용자재: 물 500L 슈퍼 FK-30 6.5L 희석 방법: 비료를 물에 희석하여 관수와 동시에 점적 관수 실시 🌆 오후 작업...


농업일지 날짜: 2026년 4월 16일 ━━━━━━━━━━━━━━━━━ ◆ 몽땅 천혜향 하우스 ▶ 점적관수 • 작업시간 : 오전 8:00 ~ 오전 9:30 • 작업내용 : 퇴비차를 물과 희석하여 점적관수 ▶ 방제작업 • 작업시간 : 오후 5:40 ~ 오후 7:00 •...


목포 엄마 제사
📒 농업일지 날짜 2026년 4월 14일 작업시간 오전 7시 ~ 오후 9시 ━━━━━━━━━━━━━━━━ 🍊 레드향(레비양) 하우스 ▶ 작업내용 황산마그네슘 + 레드향 비료를 물에 녹여 점적 간수 실시 ▶ 사용 자재 황산마그네슘 레드향 비료 11kg ▶ 작업 목적 ...


📒 농업일지 날짜: 2026년 4월 13일 작업시간: 오전 7:00 ~ 오전 9:30 1️⃣ 작업 장소 몽땅 레드향 하우스 밭 천혜향 하우스 밭 2️⃣ 작업 내용 붕산비료 점적관주 방법 50말 통에 물 준비 각각 붕산비료 500g × 4개 (총 2kg) 물에 완전히 ...


🍊 천혜향 밭 하우스 1️⃣ 작업 내용 물과 함께 퇴비차 300리터 점적 관수 2️⃣ 관수 방식 점적 관수 3️⃣ 작업 시간 오전 7시 ~ 오전 9시 (약 2시간) 4️⃣ 작업 목적 토양 미생물 활성 뿌리 활력 증진 토양 환경 개선 5️⃣ 특이 사항 관수 정상 진행 ...


📒 농업일지 날짜: 2026년 4월 10일 날씨: 맑음 작업 장소: 몽땅하우스 천혜향 밭 작업 내용: 천혜향 하우스 병해충 방제 작업 실시 약제 혼합 후 수동(손) 방제 진행 사용 약제: 보르도액 기계유제 만장일치 (작용코드 4A + 3A) 희석 및 사용량: 물 20...

📒 농업일지 (2026년 4월 8일) 농장: 하우스 감귤 레드향 1300평 천혜향 2100평 1️⃣ 작업 시간 오전 7:00 ~ 오전 8:30 2️⃣ 작업 내용 점적 관수 이용 수용성 비료 관주 작업 3️⃣ 사용 비료 YaraLiva Rexolin 13-4-25 (야...


🌱 농업일지 ● 날짜: 4월 7일 ● 작업 장소: 몽땅 레드향 하우스 ● 작업 내용: 레드향 밭에 보르도액, 기계유제, 만장일치 약제를 손살포로 방제함. ● 사용 약제: 보르도액, 기계유제, 만장일치(작용기작 코드: 4A + 3A) ● 작업 시간: 오전 6시 ~ 오전...

🌱 4월 5일 농업일지 ● 작업 날짜 4월 5일 ● 작업 시간 오전 7시부터 오전 9시까지 ● 작업 내용 야라 레가 13-4-25를 물에 녹여 점적관수로 관비함. 미생물 퇴비차 발효 중 제조한 액에 당밀을 추가함. 🌿 레드향 하우스 ● 작업 장소 몽땅 레드향 하우스...


레드향 2구루 꽃핀 상태 2구루만..

🌱 4월 3일 농업일지 • 날짜: 4월 3일 • 작업 장소: 몽땅 레드향 하우스 • 작업 내용: 질산가리 7.5kg을 토양 점적관수로 살포함. • 사용 자재: 질산가리 • 사용량: 7.5kg • 작업 장소: 몽땅 천혜향 하우스 • 작업 내용: 질산가리 12kg을 토양...


🌱 4월 2일 농업일지 ● 작업 날짜 4월 2일 ● 작업 장소 몽땅 레드향 하우스 ● 작업 내용 살충제 살포함 ● 제품명 베일리스 ● 작용기작 9D ● 방제 대상 진딧물 ● 살포 구역 레드향 하우스만 살포 ● 작업 방법 무인 방제기로 살포함 ● 작업 시간 오전 7시부...

🌱 4월 2일 농업일지 • 날짜: 4월 2일 • 작업 장소: 몽땅 레드향 하우스 • 작업 내용: 퇴비차 500리터를 점적관수로 토양 살포 및 관주함. • 사용 자재: 퇴비차 • 사용량: 500리터 • 작업 장소: 몽땅 천혜향 하우스 • 작업 내용: 퇴비차 500리터를...


🌱 농업일지 • 날짜: 4월 1일 🌿 몽땅 천혜향 하우스 • 작업 내용: 미생물 퇴비차 200리터 토양 살포함. • 작업 방법: 물 간수 시 함께 토양 살포함. • 사용 자재: 미생물 퇴비차 • 사용량: 200리터 • 비고: 현재 새순 상태 사진 첨부함. 🌿 몽땅...


🌱 농업일지 • 날짜: 3월 31일 • 작업 장소: 몽땅 레드향 하우스 • 작업 내용: 정전한 가지를 파쇄기로 파쇄 작업함 • 작업 시간: 오전 7시부터 오전 9시까지 • 작업 인원: 나 혼자

🌱 3월 30일 농업일지 📍 작업 장소 • 몽땅 레드향 하우스 🛠 작업 내용 • 세밀 정정 작업 마무리함 ⏰ 작업 시간 • 오전 7시부터 오후 5시까지 👤 작업 인원 • 나 혼자

🌱 3월 29일 농업일지 📍 작업 장소 • 몽땅 레드향 하우스 • 몽땅 천혜향 하우스 🛠 작업 내용 • 미리근 + 미량요소 + 미생물 혼용 엽면시비(엽면살포) 실시 ⏰ 작업 시간 • 오전 8시 ~ 오전 9시 30분 👤 작업 인원 • 나 혼자 💧 사용 자재 및 ...


📅 3월 27일 🌱 몽땅 레드향 하우스, 🌱 천혜향 하우스 칼시니트 물에 녹여 관주 레드향 17kg, 천혜향 28kg 작업 시간: 오전 7시 ~ 오전 9시 작업 인원: 나 혼자


몽땅 레드향 하우스 세밀 정전함

🌱 3월 26일 농업일지 ● 작업 장소: 몽땅 하우스 외부 도로변 ● 작업 내용: 도로변 잡초 제거를 위한 제초제 살포 작업함. ● 사용 약제: 글라신 ● 희석 및 사용량: 물 25말에 글라신 6병 희석에서 살포함. ● 작업 시간: 오전 7시부터 오전 11시까지 ● ...


농업일지 날짜: 3월25일 하우스: 몽땅 레드향 하우스, 천혜향 하우스 작업 내용: 미생물 배양액에 당밀 1리터씩 먹이감 배양 혼합 작업 시간: 오후 5시 ~ 6시


3월 24일 농업일지 몽땅 레드향 하우스, 천혜향 하우스 살균제 톱신엠 살포함. 천혜향 밭 200말, 레드향 밭 125말 물과 함께 희석하여 살포함. 톱신엠은 더뎅이병 예방용 살균제임. 작업시간: 오전 7시 ~ 오전 9시 작업인원: 본인 1명 (무인 방제기 사용) 작업...


2026년 3월 23일. 몽땅 레드향 하우스: 폴리인산 슈퍼 FK30 6.5리터를 500리터 물에 녹여 점적 관수함. 천혜향 밭: 폴리인산 슈퍼 FK30 10.0리터를 1000리터 물에 녹여 점적 관수함. 작업 시간: 오전 8시부터 오전 9시까지. 작업 인원: 나 혼자...


레드향 소꾼정전 조금씩함 1일차

2026년 3월 21일, 몽땅 레드향 하우스와 천혜향 하우스에서 퇴비차 제조 1일차 진행. 물 50말에 1년 숙성된 퇴비 한 포를 한약 보자기에 나눠 담아, 기포 발생기와 복합비료 21 한 바가지를 넣어 제조함.


2026년 3월 21일 농업일지 장소: 몽땅 레드향 하우스, 천혜향 하우스 작업 내용: 황산마그네슘 점적 관수 레드향 밭: 황산마그네슘 11kg 천혜향 밭: 황산마그네슘 18kg 방법: 물에 녹여서 점적 관수 작업 시간: 오전 8시 ~ 오전 9시 30분 작업 인원: 나...


현재 봄순 나오는 상태


📒 농업일지 작업 장소 몽땅하우스 천혜향밭, 레드향밭 작업 내용 야라 레가 13-4-25 제품을 물에 녹여 점적 관수(간수) 실시 사용 자재 및 사용량 천혜향밭: 야라 레가 13-4-25 21kg 레드향밭: 야라 레가 13-4-25 13kg 작업 방식 비료를 물에 완...


농업일지 일자: 2026년 3월 15일 작업 장소: 몽땅 레드향 하우스, 몽땅 천혜향 하우스 작업 내용: 야라 비료 제품을 물에 녹여 **물관주(점적 관수)**로 시비함 사용 자재: 천혜향 하우스: 야라 레가 15-15-15 25kg 물에 녹여 점적관주 레드향 하우스...


📅 2026년 3월 14일 농업일지 작업 장소 몽땅 레드향 하우스, 몽땅 천혜향 하우스 작업 내용 아침 하우스 점검 중 진딧물 발생이 확인되어 진딧물 및 총채벌레 방제 작업 실시함. 무인 방제기를 이용하여 방제 작업 진행함. 사용 약제 퍼펙트 (살충제) 희석 및 사용...


만감류 교육 오후2~5시까지 서부기술원 센터


베트남 4박 6일 여행
농업일지 날짜: 2026년 3월 7일 작업 장소: 몽땅 레드향 하우스, 몽땅 천혜향 하우스 작업 내용: 칼시니트 점적관수 세부 작업 내용 몽땅 레드향 하우스: 칼시니트 10kg 물에 녹여 점적관수 실시 몽땅 천혜향 하우스: 칼시니트 18kg 물에 녹여 점적관수 실시 작...


농업일지 날짜: 2026년 3월 6일 작업 장소: 몽땅 천혜향 하우스 작업 내용: 소품 정전 작업 마무리 작업 시간: 오전 7시 ~ 오후 4시 작업 인원: 본인 1명 작업 내용 상세: 몽땅 천혜향 하우스 소품 정전 작업을 최종 마무리함.

농업일지 (2026년 3월 5일) 작업 장소: 몽땅 천혜향 하우스 작업 내용: 소꿈 정전 작업 작업 시간: 오전 7시 ~ 오후 5시 작업 인원: 나 혼자 작업 진행량: 천혜향 하우스 2100평 중 약 1000평 정도 작업 진행 메모: 천혜향 하우스 소꿈 정전 작업 진행...

농업일지 날짜: 2026년 3월 4일 장소 몽땅 레드향 하우스 몽땅 천혜향 하우스 작업 내용 칼시니트(칼슘제) 엽면시비 실시 무인방제기를 이용하여 엽면 살포 작업 진행 사용 자재 및 사용량 몽땅 천혜향 하우스: 칼시니트 10kg 물에 녹여 무인방제기로 엽면시비 몽땅 레...


📘 농업일지(메모) 📅 2026년 3월 3일 📍 장소 몽땅 천혜향 밭 📷 관찰 내용 (사진 4장 기준) 잎 끝부분 타들어감(끝마름) 잎 말림 현상 있음 일부 신초(새순) 끝도 타들어가는 증상 관찰됨 🔎 원인 추정 칼슘 결핍 의심 낮 습도와 밤 습도 차이 과다로...

📅 농업일지 📍 작업 장소 몽땅 레드향 하우스 몽땅 천혜향 하우스 💧 작업 내용 제품명: 폴리인산 슈퍼 FK30 물에 희석 후 점적 관수 실시 📦 사용량 천혜향 하우스: 10.5리터 레드향 하우스: 6.5리터 🚿 작업 방식 점적 관수(점적 관수)


📒 농업일지 날짜 2026년 2월 28일 작업 장소 몽땅 레드향 하우스 몽땅 천혜향 하우스 작업 내용 황산마그네슘 점적관수 실시 사용 자재 및 투입량 황산마그네슘 천혜향 하우스: 36kg 레드향 하우스: 22kg 작업 방법 물에 녹여 점적관수 작업 인원 나 혼자 메모...


📒 농업일지 작업 장소 몽땅하우스 천혜향밭, 레드향밭 작업 내용 야라 레가 13-4-25 제품을 물에 녹여 점적 관수(간수) 실시 사용 자재 및 사용량 천혜향밭: 야라 레가 13-4-25 42kg 레드향밭: 야라 레가 13-4-25 26kg 작업 방식 비료를 물에 완...


📒 농업일지 일자: 2026년 2월 25일 작업 장소: 몽땅 레드향 하우스, 몽땅 천혜향 하우스 작업 내용: 야라 비료 제품을 물에 녹여 **물관주(점적 관수)**로 시비함 사용 자재: 천혜향 하우스: 야라 레가 15-15-15 52kg 물에 녹여 점적관주 레드향 하...


농업일지 작업 내용: 몽땅 천혜향 하우스 점적 호스 설치 완료 작업 인원: 본인 1명 작업 시간: 오전 7시 ~ 오후 5시

📒 농업일지 작업일자: 오늘 작업내용: 퇴비 살포 작업 작업장소 및 내용 오전 작업 장모님 하우스 퇴비 살포 완료 오후 작업 몽땅 하우스 레드향 밭 천혜향 밭 작업 시간: 오후 1시 ~ 오후 5시 20분 퇴비 살포 작업 완료 사용 약제 퇴비 작업 인원 중국인 작업자...



📘 농업일지 작업 장소 몽땅하우스 천혜향 밭 몽땅하우스 레드향 밭 작업 내용 엽면시비 작업 무인방제기 사용 사용 자재 및 투입량 ① 천혜향 밭 (엽면시비 / 무인방제기) 요소비료: 20kg 미랑요소(미리근): 300g ② 레드향 밭 (엽면시비 / 무인방제기) 요소비...


점적호스 설치 작업 채은이하고 호스 풀고작업함

농업일지 작업 기간: 2월 6일(금) ~ 2월 10일(화) 장소: 몽땅 레드향 하우스, 천혜향 하우스 작업 내용: 무인 방제기 설치 완료


무인방제기 설치 인원 들어옴


📘 농업일지 날짜: 2026년 2월 4일 작업지: 몽땅 천혜향 하우스 작업내용: 점적 호스 설치 작업 (1일차) 점적 호스 새들 작업 작업시간: 오후 12시 ~ 오후 5시 작업인원: 1명 (본인) 특이사항: 혼자 작업 진행함

📘 농업일지 날짜: 2026년 2월 3일 작업지: 몽땅 레드향 하우스 작업내용: 하지 정전 작업 완료 약 1주일간 정전 작업 진행 후 마무리 정전 후 가지 모으기 및 파쇄 작업 실시 작업인원: 본인 1명 (마지막 날) 딸 채은과 함께 가지 수거 및 파쇄 작업 작업시간...

비료 들어옴

하지전정 시작 혼자작업

하지 전정시작

몽땅하우스 레드향밭 유인작업 완료

📘 농업일지 작업장소: 장모님 하우스 4번, 6번 작업내용: 수확 작업 작업인원: 총 15명 장모님, 대표님, 삼촌 중국인 작업자 12명 작업시간: 오전 8시 ~ 오후 4시 30분 ▶ 작업수량 및 수확량 4번 하우스 수확량: 93 컨테이너 환산: 93 × 18kg =...

📒 농업일지 (농업경영체·팜모닝 기록용) 작업일자: 2026년 1월 3일 작업 장소: 몽땅 천혜향 하우스 작업 내용: 천혜향 수확 작업 작업 인원: 중국인 작업자 12명 장모님 삼촌 본인 작업 시간: 오전 8시 ~ 오후 4시 30분 작업 수량: 컨테이너 수: 1,10...

농업일지 기록 장소: 장모님 하우스 천혜향 5번, 6번 하우스 작업 내용: 천혜향 수확 컨테이너 정보: 5번 하우스: 한 컨테이너당 18kg 기준 총 484개 6번 하우스: 한 컨테이너당 18kg 기준 총 146개 총 수확량 환산: 5번 하우스: 484개 × 18kg...

📘 농업일지 일자: 2025년 12월 22일 작업 장소: 몽땅 레드향 하우스 작업 내용: 엽면시비(엽면 시비) 사용 자재: 요소비료 25kg 미량요소(미량요소 미리근) 500g × 1포 희석 및 사용량: 물 600말에 혼합 엽면시비 살포 작업 방법: 엽면시비 살포 작...

유인작업 시작

📘 농업일지 작업일자: 2025년 12월 18일 작업 장소: 몽땅하우스 레드향밭 작업 내용: 간주(점적관수) 사용 자재: 야라레가 13-4-25 관수 방법: 점적간수 물 사용량: 550말 작업 시간: 오후 8시 30분 ~ 오후 9시 30분 작업 인원...

📘 농업일지 일자: 2025년 12월 14일 작물 / 장소: 몽땅 레드왕하우스 (레드향) 작업 구분: 시비 · 관수 (간주) 🔧 작업 내용 내용: 칼슘 · 질산태질소 간주 시비 방법: 점적간수 물 사용량: 550말 사용 자재: 칼슘니트 25kg (...

📒 농업일지 일자: 2025년 12월 13일 작업장소: 몽땅 레드왕하우스 작업내용: 레드향 수확 마무리 및 수확 후 관수 ■ 작업시간 오전 8시 ~ 오후 5시 ■ 수확 내역 컨테이너 150개 컨테이너 240개 컨테이너 150개 미숙과 레드향 컨테...

🍊 몽땅 레드향 하우스 레드향 수확 – 1일차 작성일: 2025년 12월 11일(목) 📌 1. 작업 개요 작업 내용: 레드향 1일차 수확 작업 구역: 몽땅레드향하우스 작업 시간: 오전 08:00 ~ 12:00 : 대표님 단독 수확 오후 12:00 ~ 1...

당도 측정

베트남 어제까지 일하고 오늘 출국

📘 농업·영업일지 ■ 날짜: 2025년 11월 25일 ■ 작업 장소: 장모님 댁 ■ 작업 내용: 농약 분무기 컨트롤박스 제작 ■ 세부 작업내역: 농약 분무기 전원·스위치 배선 점검 컨트롤박스 외함 선정 및 구성 스위치, 전원 라인, 안전장치 배치 내부 배선...

📘농업일지 ■ 날짜: 2025년 11월 22일 ■ 작업 장소: 몽땅하우스 레드향밭 --- 1. 작업 내용 샘플 나무 1번 ~ 4번까지 대조구 설치 목적: 과실 크기·두께·당도 변화 추적 --- 2. 현재 측정값 당도(Brix): 11°Bx 과실...

📘 농업일지 ■ 날짜: 2025년 11월 22일 ■ 작업 장소: 몽땅하우스 레드향밭 --- 1. 작업 내용 샘플 나무 1번 ~ 4번까지 대조구 설치 목적: 과실 크기·두께·당도 변화 추적 --- 2. 현재 측정값 당도(Brix): 11°Bx 과실...

📘농업일지 ■ 날짜: 2025년 11월 22일 ■ 작업 장소: 몽땅하우스 레드향밭 --- 1. 작업 내용 샘플 나무 1번 ~ 4번까지 대조구 설치 목적: 과실 크기·두께·당도 변화 추적 --- 2. 현재 측정값 당도(Brix): 11°Bx 과실...

📘농업일지 ■ 날짜: 2025년 11월 22일 ■ 작업 장소: 몽땅하우스 레드향밭 --- 1. 작업 내용 샘플 나무 1번 ~ 4번까지 대조구 설치 목적: 과실 크기·두께·당도 변화 추적 --- 2. 현재 측정값 당도(Brix): 11°Bx 과실...

📘농업일지 ■ 날짜: 2025년 11월 22일 ■ 작업 장소: 몽땅하우스 레드향밭 --- 1. 작업 내용 샘플 나무 1번 ~ 4번까지 대조구 설치 목적: 과실 크기·두께·당도 변화 추적 --- 2. 현재 측정값 당도(Brix): 11°Bx 과실...

📘 농업일지 📅 날짜: 2025년 11월 15일 (한국 기준) --- 🔶 1. 장모님 하우스 — 황금향 1번 · 2번 🛠 작업 내용: 황금향 1번, 2번 수확 작업 마무리 총 805 컨테이너 수확 총 중량 14,490kg 팥지 24개 432kg ...

🌿 농업일지 날짜: 2025년 11월 12일 장소: 장모님 하우스 (1번, 2번 하우스) 수확 작목: 황금향 --- 작업내용: 1번, 2번 하우스 황금향 수확 작업 실시 2번 하우스에서 총 3,600kg 상품 수확 컨테이너 18kg짜리 1차 120개, 2...

🌿 농업일지 (2025년 11월 10일, 일요일) 📍 1. 장모님 하우스 작업 내용: 수확 전 방제 사용 약품: 브리오 알파 30개 벤레이트 24개 물 600말과 희석 살포 작업 인원: 장모님, 대표님, 베트남 작업자, 삼촌 1명 작업 시간: 오전 ...



📘 농업일지 날짜: 2025년 11월 9일 (일) 장소: 몽땅하우스, 몽땅 레드왕하우스 작업 내용: 정전작업 및 나무 가지치기 마무리 작업 시간: 오전 7시 ~ 오후 5시 작업 인원: 대표님 혼자 비고: 모든 가지치기 및 정전작업 완료

✅ 농업일지 – 2025년 11월 8일 (토요일) 작업장소: 몽땅하우스 레드향밭 작목: 레드향 작업내용: 나무 정전 가지치기 작업 실시 (과수 균형 조정 및 통풍 개선 목적) 작업시간: 오전 7시 ~ 오후 5시 작업인원: 대표님 단독 작업 특이사항: 전체 구...

✅ 농업일지 – 2025년 11월 8일 (토요일) 작업장소: 몽땅하우스 레드향밭 작목: 레드향 작업내용: 나무 정전 가지치기 작업 실시 (과수 균형 조정 및 통풍 개선 목적) 작업시간: 오전 7시 ~ 오후 5시 작업인원: 대표님 단독 작업 특이사항: 전체 구...

막걸이 점적호스로 줌

🌿 농업일지 작성일: 2025년 10월 30일 작업 장소: 몽땅하우스 레드향밭 🔧 작업 내용 1. 하우스 처짐현상 복구 작업 작업 내용: 하우스 처짐 부분 복교 및 보강 완료 작업 인원: 굴삭기 기사, 비닐하우스 사장님, 작업보조 1명 작업 시간: 오전 ...

레드향 시기색깔

📅 날짜: 2025년 10월 28일 🏡 작업 장소: 몽땅하우스 레드향밭 👩🌾 작업 인원: 대표님 외 🕒 작업 시간: (시간 입력 필요 — 예: 오전 8시 ~ 오후 5시) 🧰 작업 내용: 점적 간수(관수) 시스템 설치 시공 1일차 🔧 작업 상세: 점적 호...

📅 날짜: 2025년 10월 27일 🏡 장소: 몽땅하우스 레드향밭 · 천혜향밭 🌱 작업 내용: 살충 방제 🧪 사용 약품: 벤네이트 14포 왕중왕 14포 💧 물 사용량: 350말 👩🌾 작업 인원: 대표님, 장모님, 베트남 인부 🕖 작업 시간: ...


📅 날짜: 2025년 10월 26일 (일요일) 📍 작업 장소: 장모님 하우스 🧑🌾 작업 내용: 병해충 방제 작업 ⏰ 작업 시간: 오전 7시 ~ 오후 12시 👥 작업 인원: 대표님, 장모님, 베트남 인원 💧 물 사용량: 550말 🧴 방제 약품: 벤네이트 ...



🌿 농업일지 날짜: 2025년 10월 23일 (목요일) 작업 장소: 몽땅하우스 옥상 및 천혜향밭, 레드향밭 작업 내용: 몽땅하우스 옥상 방수 작업 (3일째 진행) 몽땅하우스 천혜향밭 및 레드향밭 물탱크 방수 처리 작업 인원: 대표님, 베트남 인부 작업 시간...


📅 농업일지 날짜: 2025년 10월 20일 작업 장소: 장모님 하우스 몽땅하우스 작업 내용: 막걸리 제조 작업 실시 몽땅하우스 막걸리 1,500리터 제조 장모님 하우스 막걸리 1,500리터 제조 복합비료 및 요소비료 6바레트 운반 작업 시간: ...


🌿 농업일지 날짜: 2025년 10월 12일 작업 구역: 몽땅하우스 작업 내용: 살충 방제 방제 약품: 벤네이트 15포 엘산 15포 물 375말과 희석하여 방제 살포 작업 인원: 베트남, 나, 장모님 작업 시간: 오전 7시 ~ 오후 11시 비고: 하우...


🌿 농업일지 날짜: 2025년 10월 11일 작업 구역: 장모님 하우스 1번 ~ 7번 작업 내용: 살충 방제 방제 약품: 엘산 26병 벤네이트 26포 물 650말과 희석하여 방제 작업 인원: 베트남, 나, 장모님 작업 시간: 오전 7시 ~ 오후 11시 ...



📒 농업일지 (2025년 10월 1일) 작업 장소: 몽땅하우스 천혜향밭 작업 내용: 살충제 방제 작업 인원: 대표님, 장모님, 베트남 인원 작업 시간: 오전 7시 ~ 오후 9시 사용 약품 및 자재: 왕중왕 9개 벤네트 9개 물 225말 이상 사용 비...

📋 2025년 9월 29일 농업일지 작업장소: 장모님 하우스 1번 ~ 7번 작업내용: 살충제 방제 작업시간: 오전 7시 ~ 오후 12시 30분 작업인원: 베트남, 대표님, 장모님 방제약품: 왕중왕 26개 사용물량: 물 650말 + 약제 희석



소윤이 유도심사
📒 농업일지 (2025년 9월 27일) 작업 장소 ①: 몽땅하우스 레드향밭 작업 내용: 살충제 방제 방제량: 약 150말 사용 약품: 왕중왕 (물과 희석하여 150말 살포) 작업 인원: 나, 장모님, 베트남 인원 작업 시간: 오전 8시 ~ 오전 10시 ...


📒 농업일지 (2025년 9월 26일) 작업 장소: 장모님 하우스 5번, 6번 작업 내용: 파세함 정정, 가지치기, 파세함 작업 인원: 대표님, 베트남 인원 작업 시간: 오전 7시 ~ 오후 5시

📒 2025년 9월 24일 농업일지 장소: 장모님 하우스 5번 작목: 천혜향 작업내용: 가을 전정 실시 작업인원: 베트남, 대표님, 장모님 작업시간: 오전 7시 ~ 오후 5시 작업결과: 전정 완료

📒 2025년 9월 24일 농업일지 장소: 장모님 하우스 6번 작목: 천혜향 작업내용: 가을 전정 실시 작업인원: 베트남, 대표님, 장모님 작업시간: 오전 7시 ~ 오후 5시 작업결과: 전정 완료

원주 상현이 결혼식 올라옴
🌱 농업일지 📅 날짜: 2025년 9월 17일 작업 장소: 몽땅하우스 레드향 밭 작업 내용: 물탱크 청소 설비 구축 레드향 밭 간수 (각 나무별 10분씩 관수) 작업 인원: 대표님, 베트남 인부 작업 시간: 오전 7시 ~ 오전 11시

📒 농업일지 (2025년 9월 15일, 월요일) 작업 장소 장모님 하우스 몽땅하우스 작업 내용 장모님 하우스 : 어제 벼락 피해로 차단기 교체, 카메라 및 공유기 파손 교체 몽땅하우스 : 물탱크 설치, 카메라 설치 작업 인원 대표님, 베트남 인원 ...


📒 농업일지 (2025년 9월 12일) 작업 장소: 장모님 하우스 작업 내용: 스프링클러 하단 설치 완료 작업 인원: 베트남 작업 시간: (시간 미기록)

📒 농업일지 (2025년 9월 10일) 작업 장소: 장모님 하우스 작업 내용: 스프링쿨러 하부 수리 및 교체 작업 인원: 대표님, 베트남 인원 작업 시간: 오전 7시 ~ 오후 5시



📒 농업일지 (2025년 9월 10일) 작업 장소: 몽땅하우스 천혜향밭 작업 내용: 스프링쿨러 하부 수리 및 교체 작업 인원: 대표님, 베트남 인원 작업 시간: 오전 7시 ~ 오후 5시

📒 농업일지 (2025년 9월 8일) 작업장소: 장모님 하우스 작업내용: 하부 스프링클러 수리 및 작업 준비 작업시간: 오전 7시 ~ 오후 5시 작업인원: 대표님, 베트남 인원



몽땅하우스 레드향밭 관수 7톤 관수함 저녁6시 30분관수

2025년 9월 6일 농업일지 작업장소: 몽땅하우스 레드향밭, 천혜향밭 작업내용: 방제 작업 방제 약품 및 물량: 총채나방방 16병 더원 16병 물 400말 희석 사용 작업시간: 오전 6시 ~ 오전 9시 30분 작업인원: 상규, 대표님, 베트남 인원 ...


📒 농업일지 📅 날짜: 2025년 9월 5일 (금) 📍 장소: 몽땅하우스 레드향밭 📝 작업내용: 오전: 레드향밭 적과 작업 오후: 휴식 👨🌾 작업인원: 대표님, 상규, 베트남 🕒 작업시간: 오전 6시 ~ 오전 11시

📒 농업일지 📅 날짜: 2025년 9월 4일 (목) 📍 장소: 장모님 하우스 1번 ~ 7번 📝 작업내용: 레드향 하우스 방제 작업 사용 약품: 다이센, 더원, 총채·나방·방 약제 혼용 희석수: 물 600말 👨🌾 작업인원: 대표님, 상규, 베트...



날짜: 2025년 9월 3일 (수요일) 장소: 장모님 하우스 작업내용: 1. 5번, 6번 하우스 달콤 비료 살포 2. 오후에 3번 하우스 스프링쿨러 하단부 교체 작업 작업인원: 장모님, 나, 베트남 대표님, 오늘 일지는 이렇게 정리하면 될까요? 아니면...


2025년 9월 2일 농업일지 장소: 몽땅하우스 레드향밭, 천혜향밭 작업 내용: 1. 달콤 비료 살포 레드향밭: 41포 천혜향밭: 61포 2. 관수 작업 레드향밭: 각각 1시간씩 천혜향밭: 각각 1시간씩 3. 오후: 양수기 A/S 기사 방문 (비...


📒 2025년 9월 1일 농업일지 📍 작업 장소 장모님 하우스 (1번, 2번, 3번, 4번, 7번) 몽땅하우스 (천혜향밭, 레드향밭) 🌱 작업 내용 1. 비료 살포 1번 하우스: 달콤 비료 36포 2번 하우스: 달콤 비료 12포 3번 하우스: 달콤...



📒 2025년 8월 31일 농업일지 장소: 장모님 하우스 6번 작업 내용: 1. 천혜향밭 적과 작업 2. 남은 시간 차강막 정리 및 창고 이동 작업 시간: 오전 8시 ~ 오후 4시 작업 인원: 장모님, 대표님, 베트남

스프링쿨러 설치후 막걸이 스프링쿨러 살포함 반경이 한쪽면 살포됨 점적관수 검토여부 관수 천혜향밭 2시간 30분씩관수 레드향밭 1시간씩 관수

몽땅하우스 레드향밭 천혜향밭 막걸이 시비함.


2025년 8월 28일 농업일지 작업장소: 몽땅하우스 레드향밭 작업내용: 하양식 스프링쿨러 위로 위치 변경 수리 및 설치 마무리작업함 작업시간: 오전 6시 ~ 오후 5시 작업인원: 대표님, 베트남

📘 2025년 8월 26일 농업일지 작업장소: 몽땅하우스 레드향밭 작업내용: 하양식 스프링쿨러 위로 위치 변경 수리 및 설치 작업시간: 오전 6시 ~ 오후 5시 작업인원: 대표님, 베트남

📒 2025년 8월 25일 농업일지 작업 장소 및 내용 1. 몽땅하우스 레드향밭 하우스 차광막 정리 및 차광막 창고 이동 2. 장모님 하우스 양수기 교체 및 수리 양수기 및 여과기 설치 완료 추가 상황 내일(8월 26일) 몽땅하우스 레드향밭 하...
📘 2025년 8월 24일 농업일지 📍 작업장소 & 내용 장모님 하우스 2번 황금향 적과 작업 몽땅하우스 레드향밭 스프링쿨러 설치 준비 밑걸음 스프링쿨러 밑단에서 위로 올리기 작업 예정 👨🌾 작업인원 상규 베트남 나 ⏰ 작업시간 오...


📒 2025년 8월 22일 농업일지 작업 장소: 몽땅하우스 천혜향밭 작업 내용: 약제 방제 및 수도 설치 방제 약품 및 자재: 다이센 5포 왕중왕 9병 물 225말 희석 작업 시간: 오전 6시 ~ 오후 8시 작업 인원: 상규, 나, 베트남 추가 작업...

📒 농업일지 (2025년 8월 21일) 작업 장소: 장모님 하우스 (천혜향) 작업 내용: 약제 방제 약품 및 사용량: 다이센 9포 + 15개 물 375말 희석 후 방제 작업 시간: 오전 6시 ~ 오전 10시 (총 4시간) 작업 인원: 상규, 베트남, 나...

📒 농업일지 📅 날짜: 2025년 8월 20일 (수) 🌱 오전 ~ 오후 작업 📍 작업장소: 몽땅하우스 레드향밭, 장모님 하우스 2번·3번 하우스 👥 작업인원: 대표님, 베트남 🕒 작업시간: 오전 7시 30분 ~ 오후 4시 30분 📝 작업내용: ...


📒 2025년 8월 19일 농업일지 📍 작업 장소: 몽땅하우스 레드향밭 📝 작업 내용: 적과 작업 ⏰ 작업 시간: 오전 7시 ~ 오후 5시 👨🌾 작업 인원: 대표님, 장모님, 베트남 인원

📘 2025년 8월 16일 농업일지 작업장소: 몽땅하우스 레드향밭 작업내용: 약제 방제 작업시간: 오전 6시 30분 ~ 오전 8시 30분 작업인원: 2명 베트남,나 사용 약품 및 희석: 벤레이트 7개 더원 7개 베프란 4개 물 175말 희석하여 방제

📅 2025년 8월 15일 농업일지 1. 농약 방제 작업 장소: 장모님 하우스 레드향(2번, 3번, 5번, 7번) 작업 범위: 레드향 하우스 절반 방제 작업 시간: 오전 6시 ~ 오전 7시 30분 작업 인원: 2명 (베트남, 대표님) 사용 약제 및 희석 비...

레드향 열과시작 장모님하우스 1번 열매줍기 월림밭 넝쿨제거 오전작업 몽땅하우스 열매줍기 및 솎기함 관수작업 6시간 줌

몽땅하우스 레드향밭 천혜향밭 각각 7시간씩 물줌


2025년 8월 12일 농업일지 작업 내용: 장모님 하우스 6번 저가 작업 및 열매 모아 버리기 작업 인원: 나, 베트남 — 총 2명 작업 시간: 오전 7시 ~ 오후 3시30분

📅 2025년 8월 11일 농업일지 작업 내용: 장모님 하우스 5번, 6번 저가 작업 및 열매 모아 버리기 작업 인원: 장모님, 나, 베트남 — 총 3명 작업 시간: 오전 7시 ~ 오후 5시


막걸이 재조함

토양살충제 살포 레드향밭만. 장모님하우스 몽땅하우스 레드향밭 오전에 열매줍기

📅 날짜: 2025년 8월 8일 (금) 📍 작업 장소: 몽땅하우스 레드향밭 🛠 작업 내용: 열매줍기 작업 ⏰ 작업 시간: 오전 6시 ~ 오전 9시 (총 3시간) 👷 작업 인원: 3명 – 대표님, 베트남 인력, 주남이 📝 특이사항: 없음

📅 농업일지 작성일자: 2025년 8월 7일 (목) 작업장소: 몽땅하우스 작업구역: 레드향밭, 천혜향밭 작업내용: 방제 작업 작업시간: 오전 6시 ~ 오전 9시 30분 작업인원: 총 3명 (대표님, 주남이, 베트남 인력) 사용약제 및 자재: 물 375말 노블레스 ...


📅 영업일지 – 2025년 8월 6일 (수요일) 🔹 작업 구역: 장모님 하우스 1번부터 7번까지 🔹 작업 내용: 농약 방제 살포 🔹 작업 시간: 오전 6시 ~ 오전 10시 (총 4시간) 🔹 작업 인원: 3명 – 주남이, 나, 베트남 🔹 사용 자재: ...



📅 농업일지 작성일: 2025년 8월 5일 (화) --- 1. 작업 장소 및 작업 내용: --- ① 몽땅하우스 레드향밭 작업 내용: 열매속기 작업 작업 시간: 오전 6시 30분 ~ 오전 8시 30분 작업 인원: 대표님, 주남이, 베트남 인부 -...

개폐기함 수리보수 모터한개교체 난석구매및 형틀기초보강작업 레미콘 타설 준비


📅 2025년 8월 3일 (일요일) 농업일지 👷 작업장소: 장모님 댁 몽땅하우스 천혜향밭, 레드향밭, 간수함 👥 작업인원: 대표님, 주남이, 베트남 인력 1명 (총 3명) 🕒 작업시간: 장모님 댁: 오전 6시 ~ 오후 5시 몽땅하우스 관수: 오후 5시...


📒 농업일지 📅 날짜: 2025년 8월 1일 (금) 🧑🌾 작업내용: 관수 작업 📍 작업장소: 몽땅하우스 레드향밭 몽땅하우스 천혜향밭 💧 세부 작업 내역 몽땅하우스 레드향밭, 천혜향밭 각각 4시간씩 관수 총 관수 시간: 8시간


📒 농업일지 📅 날짜: 2025년 7월 31일 (목) 🧑🌾 작업내용: 열매 솎기(속기) 📍 작업장소: 몽땅하우스 레드향밭 👷 작업인원: 주남이, 베트남, 대표님 🕑 작업시간: 오후 12시 ~ 오후 5시 --- ✂️ 세부 작업 내역 레드향밭 열매 솎...

📒 2025년 7월 30일 (화) 롱옵일지 📍작업장소: 장모님 하우스 3번, 5번, 6번, 7번 몽땅하우스 🛠 작업내용: 장모님 하우스 3번, 5번, 6번, 7번 열매솎기 작업 몽땅하우스 관수(물줌) 👷 작업인원: 주남이, 베트남, 나 (총 3...


장모님하우스 6번 적과함 작업인원 나,주낭이,베트남 3몀 작업함 관수 몽땅하우스 레드향밭,천혜향밭 6시간 물줌


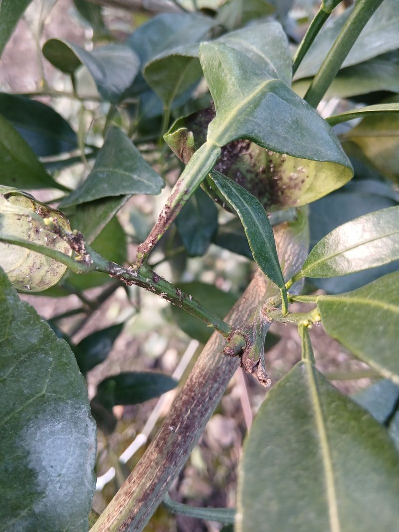
장모님하우스 3번.4번 가지 매달기 작업인원 나.주남이.베트남 사진처럼 증상많음 원인분석하기


📅 농업일지 작성일자: 2025년 7월 27일 (일요일) 작업장소: 몽땅하우스 레드향밭, 천혜향밭 작업시간: 오전 6시 30분 ~ 오전 9시 30분 작업인원: 3명 (대표님, 베트남, 주남이) --- ✅ 작업내용: 레드향밭, 천혜향밭 방제작업 실시 물 사용량...


📒 농업일지 (농호빌티) 📅 날짜: 2025년 7월 26일 (토요일) 📍 작업 장소: 장모님 하우스 1번 ~ 7번 👷 작업 인원: 주남이 나 베트남인 총 3명 🕕 작업 시간: 오전 6시 ~ 오전 10시 🧴 작업 내용: 방제 살포 작업 사용...



📒 농업일지 (농호빌티) — 간수 작업 📅 날짜: 2025년 7월 25일 (금요일) 📍 작업 장소: 몽땅하우스 레드향밭, 천혜향밭 🛠️ 작업 내용: 간수 물줌 작업 실시 레드향밭: 2시간 30분 천혜향밭: 2시간 30분


📅 농업일지 작성일: 2025년 7월 23일 (화요일) 장소: 몽땅하우스, 장모님 하우스 --- ✅ 작업 내용 1. 가지 매달기 작업 작업 인원: 총 14명 (중국인 10명, 베트남 1명, 주남이 1명, 대표님, 장모님) 작업 시간: 오전 6시 ~ 오...



주남이 경챨서 방문
농업일지 작성일자: 2025년 7월 21일 (월요일) 작업장소: 몽땅하우스 레드향밭, 천혜향밭 --- 🛠 작업내용 레드향밭 / 천혜향밭 가지 매달기 작업 작업시간: 오전 6시 30분 ~ 오후 5시 작업인원: 중국인 10명, 베트남 1명 (총 11명) 작...


장모님밭 비료. 정전 파쇄함
전정하고 파쇄함 레드향 밭

요소비료8포 레드향밭 밑거름 배포 모터펌프 1시간물줌 달콤비료 20포 천혜향밭 배포 모터펌프로 1시간30분 물줌


소꿈전정함 레드향 밭 전반만함
