팜모닝
홈농사정보영농일지장터검색
농사 정보
  • 팜모닝 AI
  • 실시간 경매 시세
  • 시장별 가격
  • 면적 직불금 계산기
  • 숨은 보조금
  • 병해충 정보
  • 농사 커리큘럼
  • 농약 정보
  • 농약 비료 계산기
장터
  • 농자재 장터농자재 장터
  • 농수산물 장터농수산물 장터
  • 생활잡화 장터생활잡화 장터
  • 농기계 장터농기계 장터
농사 게시판
  • 팜모닝공식팜모닝공식
  • 매일매일 농사공부매일매일 농사공부
  • 농사, 무엇이든 물어보세요농사, 무엇이든 물어보세요
  • 이웃들의 병해충 소식
팜모닝
사과·병해충상담
심원댁님의 프로필
전북고창 심원댁
2022-05-15T05:23:19Z
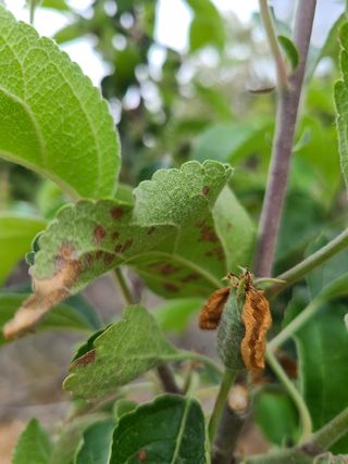
사과나무잎이마른것처럼그러고요냄새가약간노린제냄세가나요
심원댁님의 사과 · 병해충상담 작성글 사진
공유
삭제된 댓글입니다.
댓글을 입력하세요
심원댁님의 프로필

전북고창 심원댁

농민

심원댁님의 다른글

자유주제·자유게시판
우리집추석차례상입니다
2024-09-16T22:12:54Z ·
10
팜모닝 자유주제·자유게시판 게시글 이미지
자유주제·자유게시판
대파정식해놓고오늘물든쁙주었었네요
2024-08-18T09:20:26Z ·
4
팜모닝 자유주제·자유게시판 게시글 이미지
블루베리·영농일지
사과대추를심고 오늘은복분자밑거름줌
2024-04-07T09:54:47Z ·
3
팜모닝 블루베리·영농일지 게시글 이미지